Hurricane Ida Satellite - Ovhplxj 4r3qnm
Visible imagery from the morning of 5 November above show upgraded Hurricane Ida on the coast of Nicaragua. Hurricane Ida satellite video.
Hurricane Ida Tracker.

Hurricane ida satellite. NEW ORLEANS The National Oceanic and Atmospheric Administration shared satellite imagery from. Thursday and is now about 65 miles. The powerful weather system will reach Category 4 strength before hitting southern Louisianas coast on Sunday evening as a.
Exact Track 4D radar current track satellite images for Hurricane Ida. Current Satellite The icon shows the current center of the system. Ida had some strong convective activity in her center as indicated by high thunderstorms in purple that were as cold as -63F.
Lightning inside eye of the storm looks like fireworks in wild footage. Ida is forecast to take a path over Nicaragua and Honduras the path is depicted in the image of SSTs above and here before re-emerging over the still-warm waters of the far western Caribbean. The National Hurricane Center continues to monitor three systems in the tropics including Tropical Storm Ida.
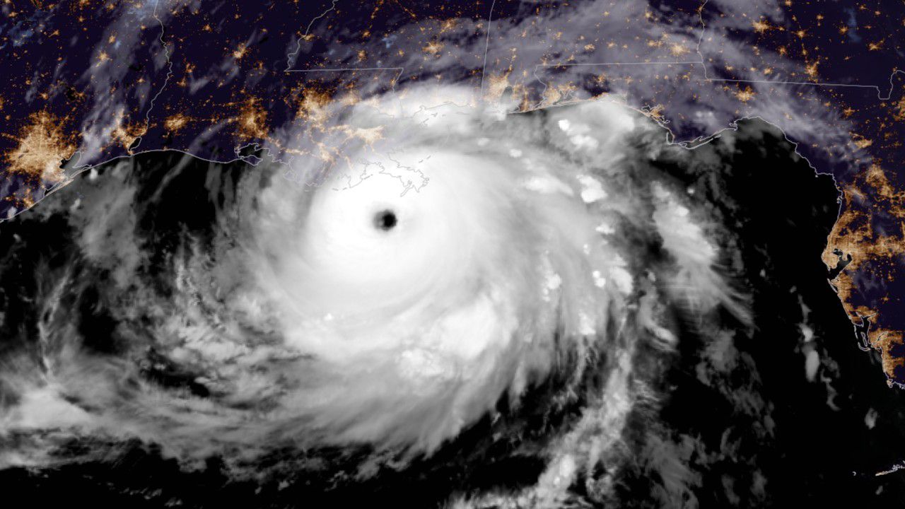
Idas satellite presentation has continued to improve this afternoon with the eye becoming more apparent in both infrared and visible satellite imagery. These images are from the GOES 16. Ida strengthens to hurricane as it barrels toward Louisiana landfall.
Spaghetti Models Cone Satellite and More. Hurricane Ida Tracker. Hurricane Ida will intensify and poses a dangerous hurricane threat to the northern US.
NASAs Aqua satellite AIRS instrument captured an infrared image of Hurricane Idas cold thunderstorm cloud tops on November 8 at 130 am. Hurricane Ida barreled into Cuba on Friday and churned toward a weekend US. THIS is the frightening moment lighting inside the eye of Hurricane Ida looks like fireworks in wild new footage.
Hurricane Ida will intensify and poses a dangerous hurricane threat to the northern US. Central Time on November 8 it had become a Category 1 hurricane with winds near 90 miles per hour 150 kilometers per hour said the National Hurricane Center. 27 Aug 2021 - 300 UTC HURRICANE WATCHES HAVE BEEN ISSUED FOR PORTIONS OF THE NORTHERN GULF COASTAs of 1100 PM EDT Thu Aug 26 the center of Ida was located near 186 -805 with movement NW at 12 mph.
Spaghetti Models Cone Satellite and More. The eye is surrounded by a symmetric ring of cold cloud tops and new convection with lightning as seen by the GOES-16 GLM sensor has been rotating around the western portion of the eyewall within the past few hours. Worrying satellite footage shows a lightning storm seen within Hurrican Ida with the massive storm set to make contact with Louisiana on SundayIda will likely make landfall in the US on Sunday.
By the time the Tropical Rainfall Measuring Mission satellite observed Ida at 534 am US. Gulf Coast by Sunday. 1-minute Mesoscale Domain Sector GOES-16 GOES-East Red Visible 064 µm and Clean Infrared Window 1035 µm images above showed that Hurricane Ida gradually developed an eye as the Category 1 storm intensified to Category 2 by 1800 UTC on 28 August 2021.
Ida formed around 520 pm. Hurricane Ida is headed towards the United States through the Gulf of Mexico and may develop into a Category 4 hurricane. Invalid Date THIS is the frightening moment lighting inside the eye of Hurricane Ida looks like fireworks in wild new footage.
Cone Spaghetti Models Satellite and More. The minimum central pressure was 1006 mb with maximum sustained winds of about 40 mph. Hurricane Ida is expect to make landfall along the US Gulf Coast as an even stronger cyclone on Sunday putting states from Louisiana to Florida at its mercy.
Hurricane Ida is expected to make landfall in Louisiana as a dangerous Category 4 storm Sunday. Sunday will mark the 16th anniversary of Hurricane Katrinas landfall in Louisiana which decimated New Orleans and other. Landfall along the Louisiana coast prompting advance evacuations of.
Microwave 85 GHz images from DMSP-17 above and DMSP-16 below from the CIMSS Tropical Cyclones site. Hurricane Ida satellite video.













:strip_exif(true):strip_icc(true):no_upscale(true):quality(65)/cloudfront-us-east-1.images.arcpublishing.com/gmg/HD5HLLN25NG7RNKFBRTO7M77CM.png)